Description
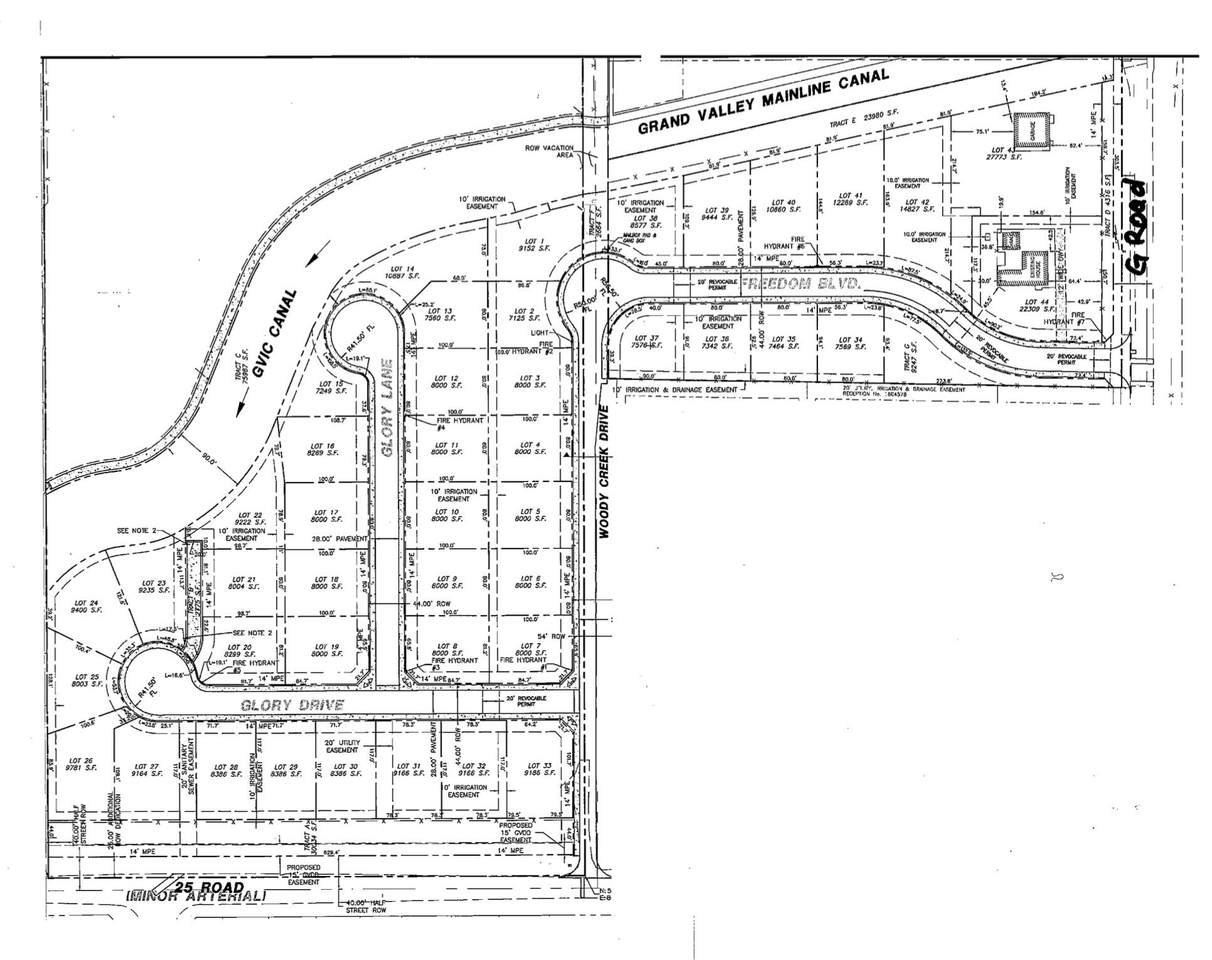
The beautiful new Liberty Ranch Subdivision conveniently located at G 1/8 Road and 25 Road has 42 lots available for sale. Lots range in size from 7,125 square feet to 14,827 square feet and lot prices start at $155,000. Quick access to all of Grand Junction's amenities. Spacious lots ready for you to bring your builder to build the home of your dreams. Minimum 1,800 square foot homes and two car garages. Fencing and landscaping not included in sale price. Property Taxes to be determined. Plat has been recorded with Mesa County. Two members of the selling company are Colorado licensed real estate brokers.
-
0BEDS
-
0.2ACRES
-
0BATHS
-
01/2 BATHS
School Information
Description
The beautiful new Liberty Ranch Subdivision conveniently located at G 1/8 Road and 25 Road has 42 lots available for sale. Lots range in size from 7,125 square feet to 14,827 square feet and lot prices start at $155,000. Quick access to all of Grand Junction's amenities. Spacious lots ready for you to bring your builder to build the home of your dreams. Minimum 1,800 square foot homes and two car garages. Fencing and landscaping not included in sale price. Property Taxes to be determined. Plat has been recorded with Mesa County. Two members of the selling company are Colorado licensed real estate brokers.
